

- 香港位於中國華南沿海,介乎北緯22°08′至35′、東經113°49′至114°31′之間
- 地質主要由火成岩、沉積岩及花崗岩構成
- 海洋性副熱帶季風氣候,2023年全年平均最低氣溫22.6度及平均最高氣溫27.2度,全年雨量為2,774.5毫米,平均相對濕度介乎67%-83%
清代香港茶區位置圖 ──《香港茶的故事》,2025年香港茶葉研製所出版
現時香港本地產區介紹

鳳凰山
大嶼山昂坪
海拔400-450米,茶樹集中分佈在貝氏大宅及茶園餐廳附近

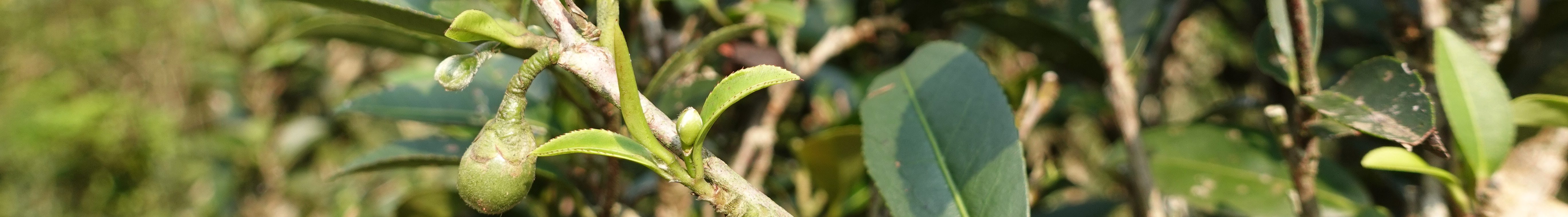
群體種/蒔茶
根據文獻、管理員口述,茶樹包括了購自中國的鐵觀音及當年台灣師傅於台灣帶來的品種,而台灣前茶葉改良場分場長郭寬福老師根據照片、製成的紅茶茶葉色澤、味道、葉底推測,可能是青心大冇或黃柑品種。由於是種子種植,及多年互相雜交,茶樹變異甚多,不論外觀、味道、生長期也不一致。
茶樹剪枝反生
2024年2月5日,嘉道理農場受邀為貝氏大宅內其中約100棵茶樹進行剪枝反生工作,香港茶葉研製所成員亦受邀一同參與。大宅內茶樹大多於1948年至1960年代種植,後期以園藝的整形式修剪打理,茶樹漸現老態,茶芽萌發率低,無法進行採茶工作。嘉道理農場的葉子林先生判斷將半株茶樹以修剪果樹的方式修剪,以非一般茶樹台刈方式處理,以疏枝及剪掉老枝條為主,以降低茶樹的死亡機會。茶樹經過半年休息,同年9月4日再進行修剪,修剪徙長枝以萌發更多茶芽。10月9日,初次有系統式採茶,茶菁約1.2kg。


觀音山
大埔嘉道理農場
海拔400-450米,分別為「107茶區」及「尖咀茶區」

根據記錄,嘉道理農場於1997年開始種植茶樹。翻查當時的購買單據,茶樹由福建購入,單據上文字所記錄的品種有3款,分別為「名花」、「福建金萱」、「黃枝香」。由於在香港種植多年,已因為水土氣候而有一定程度上的變異。及後,香港茶葉研製所於2024年請台灣茶樹品種專家藍芳仁老師以新鮮茶枝鑑定,認為「福建金萱」實為「紫芽佛手」,而並沒有找到相關文字記載的品種「名花」,可能是武夷菜茶。








你必須登入才能發表留言。